Outils d'accessibilité
Après un début de semaine pluvieux et venteux, jusqu’au jeudi après midi.
En ce dernier samedi d’octobre (jour du changement d’heure). Me voici embarqué par une mer belle et un soleil éclatant, d’où une belle plongée s’annoncée.
En compagnie de Marc mon fidèle binôme, en partance sur notre "Suscle II" pour une plongée sur le site de la "boulégeade", (lieu approprié pour les baptêmes et l’école des niveaux 1) ayant un baptême à faire et un niveau 1.
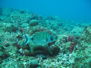
Dans une eau à 19° et une visibilité moyenne, (pas pour moi car mon nouveau masque m’a encore fait de la buée en permanence, malgré les plusieurs nettoyages et brulages du silicone sur le verre), bref après 58 mn et une profondeur de 18 m, nous avons pu y croiser et photographier de nombreuses espèces de poissons, en particulier des corbs de belle taille.
Suite à une bronchite d’un mois, aujourd’hui 19 octobre 2019 me voici embarqué sur notre "Suscle II" pour une plongée de reprise.

Par un temps de pluie, un vent d’est établi, une bonne houle de surface, une température extérieure de 20°: dix courageux Morses du bout du monde étaient embarqués pour une plongée sur le site de la "boulégeade", un des rares lieux à l’abri du mauvais temps qui régnait.
Arrivée sur les lieux avec de nombreuses embarcations de plongeurs, après la mise à l’eau de l’ancre, Marc et moi descendons les premiers pour voir si celle-ci est bien accrochée.
De là nous voici partis pour la pointe coté calanque de "fontange", dans une eau à une température moyenne de 18°, une visibilité plus ou moins bonne, pour moi car mon nouveau masque m’a fait de la buée en permanence, car le silicone qui y restait encore n'étais pas assez brulé Je ferais ça dés mon retour.

Suite à 58 minutes de plongée et une profondeur maximum de 16,8 mètres précisément, nous avons croisé et photographié: Mérous, Mostelles, Sars, Muges, Saupes, Labres de plusieurs sortes, etc..

Le retour au club fut plus calme qu’à l’aller, le vent ayant faibli et nous portait.

Pour une reprise, ce fut une bonne reprise.
Ce samedi 5 octobre c'est la 16 édition de l'opération « Des espèces qui comptent » dans le parc des Calanques. L'objet de cette opération de science participative, organisée par le Codep 13 de la Fédération française d’études et de sports sous-marins, dans plusieurs zones du Parc à Marseille, est de compter les mérous, corbs et grandes nacres du parc national des Calanques. 7 plongeurs du club se mobilisent pour compter ces espèces protégées et emblématiques de la mer Méditerranée.
Luc Talassinos et Sylvie Riollet, se présentent à la base nautique du Roucas Blanc à 8 heures pour prendre toutes les informations de la procédure. Pendant ce temps, Didier Edmond, Nelson Larrieu, Bruno Novial, Anne Lachase et moi-même préparons le Barracuda.
Luc et Sylvie nous rejoignent vers 9h 30, munis de plaquettes, tee-shirts, c'est parti pour ratisser le site de la grotte à Corail et le Liban, sites qui nous sont attribués.
Le temps est maussade mais l'ambiance est au beau fixe.
Pour être sür de bien quadriller ce vaste site, on va faire deux équipes, une sur le site de la grotte à Corail et l'autre sur le Liban.
Sylvie, Didier, Nelson et Bruno nous larguent (Anne, Luc et moi) sur la Grotte à Corail, puis vont se mouiller sur la bouée du Liban.
L''immersion la Grotte à Corail va se faire au milieu d'un champ de méduses, autant vous dire que tous les trois on ne va pas traîner. Lorsqu'on touche le fond on tombe sur un joli poulpe surpris de nous voir. Nous rentrons dans la grotte tapissée de corail, une vraie merveille, et là un joli mérou de 80 cm se pavane. Luc note sur sa tablette tous les critères demandés, nombre de l'espèce vue, grosseur, temps d'immersion, profondeur, couleur de la robe, sens du déplacement.
En sortant de la grotte, nous admirons un champ d'anémones blanches.
Nous commençons le comptage suivant les règles imposées, en ligne à différentes profondeurs mais avec toujours un visuel plongeur. Luc au plus profond 3O/25 m, moi dans les 25/20 m, Anne dans les 20/15 m.
Le festival mérous va se poursuivre, nous observons 6 mérous au total, pas de Corbs, pas de grande Nacre, mais des Dentis , des Dorades Royales, et un paysage sous-marin très joli.
Enthousiastes, nous palmons jusqu'à la bouée du Liban pour rejoindre le bateau et l'autre équipe qui lorsque nous arrivons fait ses paliers sous le bateau. Cela s'appelle de la coordination!
Ils ont eu moins de chance que nous, choux blanc pour « les espèces qui comptent », en revanche, murène en plein eau, énorme congre... , bref très heureux de leur plongée.
Le retour est assez houleux, la mer s'est creusée.
Arrivée au port en même temps que le Suscle.
Après avoir déchargé le matos et remonté le bateau, nous finissons sur la terrasse du club pour un repas convivial avec nos autres copains plongeurs où là les langues se délient en faisant revivre nos plongées respectives avec des yeux qui pétillent de joie.
Suite à briefing au club des Morses du bout du monde:
Alexia, Thomas et Mathieu, ayant fait leur baptême le samedi précédent, commençaient aujourd’hui, sous la houlette de Laurence notre nouvelle monitrice, la première plongée pour passer le "niveau 1".
Après savoir fait leur saut droit depuis la digue de callelongue, un bon capelé dans le clapotis, le phoque, la remontée contrôlée, le vidage de masque, le lâcher et reprise d’embout, le poumon ballast, suivi d’une petite balade exploration et la rentrée en surface jusqu’à la mise à l’eau du petit port de callelongue.
"Frédéric II" l’autre colonel mais lui de gendarmerie et moi-même assurons la sécurité sur la digue.
Il est toujours difficile de trouver le sommeil la veille d’un grand raid en mer. L’angoisse, la crainte de l’inconnu semble vouloir hanter le milieu de la nuit. La météo sera-t-elle aussi belle que promise ? Le moteur ne tombera-t-il pas en panne malgré la dernière révision? Le téléphone satellite est-il bien chargé ? Il semblerait que plus on vieillit, plus on s’inquiète. Et plus on a l’imagination fertile, plus les sujets de préoccupation se multiplient. Alors, on tourne et se retourne dans son lit en se surprenant à être toujours éveillé malgré les heures qui passent … Un seul remède pour conjurer la gamberge : se réveiller et foncer.
Cela fait longtemps que je caresse l’idée de plonger à l’extrême Sud du récif. 60 miles tout de même de Nouméa, soit la distance de Marseille à Porquerolles. Aller et retour, c’est plus loin que d’aller d’Hyères à Calvi. C’est ambitieux. Il faut une excellente fenêtre météo et suffisamment d’essence. J’ai déjà voulu tenter une fois l’aventure avec mes camarades Marc et Laurent, mais ils m’y ont fait renoncer : pas assez de carburant ... J’étais prêt à prendre le risque de tomber en panne d’essence à proximité de Nouméa, mais devant la possibilité de mutinerie, j’ai dû capituler!
Leçon comprise, je me suis donc attelé à programmer le raid sur l’application de navigation Navionics. D’abord estimer la consommation et la vitesse à 4 000 tours, mon régime de croisière … Si c’est lisse, je sais que je serai au minimum à 16 nœuds. Après quelques recherches sur internet, il semble qu’à ce régime 20 litres à l’heure serait vraiment la fourchette haute de consommation. Je programme la route soigneusement sur la carte, puis rentre ces paramètres très conservateurs. Le verdict tombe : « Route baie des citrons vers pointe Sud : 57 miles, soit 4h23 minutes à 13 nœuds et 88 litres à 20 litres/heure. »
Second obstacle : la capacité du réservoir. Je ne l’ai jamais vidé. Le maximum que j’y ai mis était de 105 litres. Il n’y a pas de notice technique en ligne, juste des descriptions de loueurs et un essai de pneumatique magazine qui indiquent parfois 170 litres, parfois 180 litres ... Je devrais y arriver sans peine. Et avec deux jerrycans de secours, ce serait donc largement faisable. Cela se tente!
Reste à trouver la bonne fenêtre météo sur trois jours. Le premier pour installer le camp de base à mi-chemin l’îlot Téré, le second pour le raid sur la pointe avec retour sur Téré et enfin le troisième pour rentrer sur Nouméa. Or voilà qu’à peine rentré de vacances en Australie assez épuisante (10 jours de marche en autonomie avec sac-à-dos dans le Kakadu national park …), il semble que le week-end se présente pour le mieux. C’est bien ma veine, je suis éreinté. Mais c’est le dernier week-end avant le départ de mon chef et ma dernière chance avant deux mois de prendre un jour de congé … Ce sera alors le retour des alizés … C’est peut-être maintenant ou jamais.
Il me faut un équipage prêt pour tenter l’aventure. Marc est en France, Laurent d’astreinte, au garde à vous à la Pointe Chaleix… heureusement Bruno, spécialiste du recycleur et de la plongée spéléo, semble partant après une première aventure sur les sites du grand Sud. Avec un tel CV, il n’a pas froid aux yeux. Il réquisitionne Fred, niveau 4, qui rêve aussi de grand Sud.
Le bateau fonctionne bien et j’ai un équipage. C’est l’évidence, il faut saisir la chance et tenter l’aventure! Mais la logique n’empêche pas la gamberge…
« Bruno, tu prendras un jerrycan de 25 litres en plus, Avec les miens, on aura 50 litres de réserve. La météo est moyenne samedi mais elle devrait s’améliorer dimanche et lundi. Cela devrait être correct et on ne devrait pas trop consommer. »
Parfois j’ai l’impression que j’essaie surtout de me rassurer. Mais le piment de la vie réside souvent dans la capacité à affronter ses peurs pour prendre un risque nouveau. La vie, c’est surtout une suite de première fois: la première que l’on monte à vélo, la première fois que l’on va à l’école, la première fois que l’on parle en public, la première fois que l’on embrasse une fille, que l’on descend une piste noire, que l’on saute en parachute, que l’on plonge à soixante mètres ou que l’on traverse la méditerranée avec son voilier…. Le jour où il n’y a plus de première fois, c’est que l’on est trop vieux !

Nouméa- Pointe de la corne Sud : 60 miles !
Mes camarades me prêtent la main pour l’autre moment pénible d’une expédition: charger le bateau pendant que j’entame la procédure de démarrage du bateau. Entre les bouteilles et le matériel de plongées, leur recycleur, l’équipement de camping, les glacières de nourriture, les fameux jerrycans… Merci les gars! J’ai sans doute la meilleure place à quai de Nouméa à Sunset Marina, en terme de sécurité et d’abri, mais on ne peut malheureusement pas se garer à côté du bateau, donc il faut des bras pour les 100 derniers mètres.
Samedi 7h30, nous voilà partis, pas mal pour une première sortie avec un nouvel équipage. Comme prévu, il fait beau et ce sera super pour camper ce soir. Mais il y a quand même une petite brise de face qui nous fait perdre deux nœuds, rien de grave et c’était prévu. Je fais découvrir à mes amis les passes de Uatio (Ecstasy) et de Kuare. Ils sont bien entendu aux anges, car ces deux passes sont spectaculaires. Mais je commence personnellement à être un peu blasé car cela fait plus de 15 fois que j’y vais. Je le regrette, mais c’est ainsi: il me faut du neuf pour vibrer. Je reste focalisé sur la pointe de la corne Sud !
Après-midi à lézarder au soleil sur la plage à Téré, nous serons seuls à camper sur l’îlot. Il faut dire que les c’est l’hiver. Les Calédoniens se remettent à peine d’une vague de froid où des record de température à la baisse ont été battus. Pensez donc: 6° le matin, il y a quelques semaines sur la grande terre. Sur les îlots, on peut passer sous la barre des 20 ° la nuit et l’eau frôle les 21 °. Seuls les zoreilles les plus récents peuvent envisager d’aller camper et plonger. Les Calédoniens se demandent toujours s’ils pourront survivre à cette vague de froid. Voilà qui fait bien notre affaire.
Dimanche, quelques nuages menacent, c’est souvent le cas les matins d’hiver. Mais il faut y croire. Pas question de flancher si près du but. Je réveille mes camarades à la pointe de jour, dès que l’eau bout pour un rapide café soluble. Nous reviendrons camper le soir, donc pas besoin de remballer les tentes. Nous sommes rapidement prêts, en route plein sud.
Première étape : nous arrivons en vue de l’épave de l’Enton qui symbolise l’entrée dans l’extrême Sud du lagon. Elle git sur le récif comme un avertissement au navigateur imprudent. Le pauvre navire serait grimpé en 1931 sur le récif à plus de 12 nœuds confondant le phare du cap Ndoua avec le phare Amedé.

L’Enton, la porte de l’extrème Sud de la corne
Nous nous approchons prudemment pour contempler les vestiges cernés par la belle eau turquoise emblématique du lagon. Il y a toujours quelques nuages en direction du Sud et si je fais mine de rien, j’ai toujours quelques interrogations sur ce qui nous attend. Je profite donc de l’arrêt pour refaire le brief sur l’utilisation de l’Iridium, bien planqué sous mon siège, au cas où …. Puis nous sortons par la passe de l’Enton vers l’extérieur du lagon pour la dernière ligne droite.
Plus que dix milles, nous y sommes presque. La houle du Pacifique prend de l’ampleur au fur et à mesure que nous approchons de la pointe de la corne. Et enfin nous y sommes. Première petite victoire, il a beaucoup de houles qui se croisent. C’est plutôt chaotique. Je me demande où plonger car c’est la seconde partie du chalenge. Je voudrais bien traverser la passe mais les distances restent importantes, cela ferait trois miles de plus. Finalement, je décide de plonger là, n’importe où, sur un fonds de 25 mètres, on verra bien ce qu’il y a à voir.
Je m’équipe rapidement, à force de plonger si souvent, c’est devenu presque une seconde nature. En quelques minutes, je suis à l’eau. Et là, un peu de déception. L’eau est très clair, la visibilité de plus de trente mètres. Mais je suis sur plateau de corail à perte de vue sans grand intérêt, des taches de sable et du corail, peu de poissons. Voilà quand même quelques becs de canes ou bossus (je ne fais pas bien la différence) qui m’aperçoivent et foncent vers moi. Ils ont un comportement un peu curieux, car ils vont au contact et me suivent. Le moins que l’on puisse dire est qu’ils ne sont pas farouches. On pourrait presque les harponner avec une fourchette : ils ne doivent pas voir souvent des chasseurs. Je prends mon parti d’une plongée un peu ratée, mais peu importe, j’ai plongé à la pointe de la corne. Il ne doit pas y avoir des millions de plongeurs qui l’on fait. Et sûrement moins d’une poignée avec un semi-rigide de 6 mètres. Je m’apprête à remonter.
C’est ce moment que choisis un requin grand aileron pour venir me tourner autour. Je n’en ai jamais vu encore. Mais je connais bien les requins, en tout cas les requins gris avec leur queue bordé de noir. Le grand aileron lui ressemble mais sans cette bordure et avec …. un grand aileron. D’ailleurs, la bible des poissons, le guide de Pierre Laboute, précise bien pour le requin à haute dorsale: « présente toute l’année entre 100 et 300 mètres, notamment sur le plateau qui prolonge au Sud la Grande Terre ». Et bien, nous y sommes à l’extérieur du récif sur le plateau qui prolonge la grande terre! C’est la cerise sur le gâteau: mon premier grand aileron lors de ma plongée à la pointe de la corne Sud!

Le grand aileron sur wiki, pas eu le temps de prendre une photo
Pour ne pas ajouter à l’angoisse et retrouver des terrains plus connus et plus sûrs, nous repartons dès ma plongée terminée vers le nord. C’est le bonheur du chalenge réussi. Si maintenant je regrette de ne pas avoir poursuivi l’exploration de ce bout du monde, je me souviens bien du soulagement et du sentiment de bonheur qui m’envahi lors de cette remontée vers des eaux plus fréquentées. Nous prendrons quand même le temps d’une plongée à pic de l’Enton avec Fred, histoire de rajouter encore une nouvelle passe à ma liste.
Encore une nuit de camping à Téré où nous profitons de crevettes marinées par Bruno et cuites au barbecue. Le tout arrosé d’une vodka polonaise ramenée tout spécialement par Fred pour être bue sur un îlot. C’est le moment de brûler encore une palette de billets de 10 000 F CFP pour un grand feu de camp et d’observer les étoiles. Pas de lune, le ciel est magnifique. J’en profite pour montrer l’émeu que les aborigènes d’Australie voient dans les ombres de la voie lactée. La tête de l’oiseau semble en effet vouloir picorer la croix du Sud.

Et oui, il faut aller en Australie pour savoir que la voie lactée dessine un émeu
Lundi, il faut songer à retourner travailler. Il vous est sans doute difficile d’imaginer quand on est à la fin d’un week-end dans l’île « la plus près du Paradis » comme disent les japonais à quel point c’est inhumain d’avoir à revenir au boulot… Heureusement, une petite pluie matinale nous y encourage avec quand même un double arc-en-ciel en guise de sourire de fin.

Double arc-en-ciel à l’îlot Téré
Page 65 sur 168